Residential development for sale
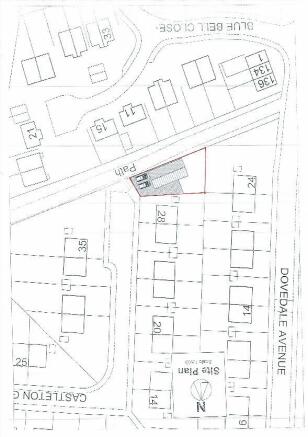
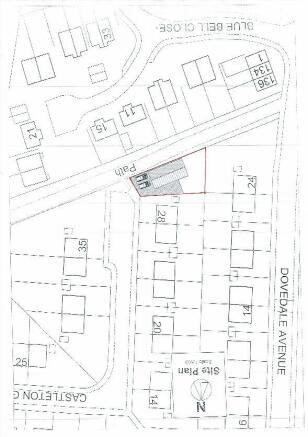
Land Adjacent to 28 Castleton Road, Inkersall, Chesterfield S43 3HU
- PROPERTY TYPE
Residential Development
- SIZE
Ask agent
Key features
- Previous planning application for- 3 bedroom detached bungalow
- CHE/19/00288/FUL
- Located close to schools, shops and supermarkets
- Close to M1 motorway junction
Description
FOR SALE VIA LIVESTREAM AUCTION - NOTE: BIDDERS WILL NEED TO PRE-REGISTER ON PRICELINSEY WEBSITE ( PRIOR TO THE AUCTION DAY.
A fantastic opportunity to purchase this plot of land which has previously had a planning application for a three bedroom detached bungalow (planning reference- CHE/19/00288/FUL).
The plot is situated within this popular and well-established residential area of Inkersall, being close to local amenities to include shops, supermarkets, schools and easy access to the M1 motorway junction.
Additional Fees:
Buyers Premium (1.5+vat % of the purchase price- subject to a minimum fee of £1,950)
Administration Fee (£1,500 inc vat)
Tenure: See Legal Pack
Terms:
Guide Prices & Reserves
Guides are provided as an indication of each seller's minimum expectation. They are not necessarily figures which a property will sell for and may change at any time prior to the auction. Each property will be offered subject to a Reserve (a figure below which the Auctioneer cannot sell the property during the auction) which we expect will be set within the Guide Range or no more than 10% above a single figure Guide.
Additional Fees
Please be aware there may be additional fees payable on top of the final sale price. These include and are not limited to administration charges and buyer's premium fees payable on exchange, and disbursements payable on completion. Please ensure you check the property information page for a list of any relevant additional fees as well as reading the legal pack for any disbursements.
Plans, Maps and Photographs
The plans, floorplans, maps, photograph’s and video tours published on our website and in the catalogue are to aid identification of the property only. The plans are not to scale and should not be relied upon.
Consumer Protection Regulations 2008
Price Linsey Property Consultants Ltd endeavour to make our sales details clear, accurate and reliable in line with the Consumer Protection from Unfair Trading Regulations 2008 but they should not be relied on as statements or representations of fact, and they do not constitute any part of an offer or contract. All references to planning, tenants, boundaries, potential development, tenure etc is to be superseded by the information contained in the legal pack. It should not be assumed that this property has all the necessary Planning, Building Regulation, or other consents. Any services, appliances and heating system(s) listed have not been checked or tested. Please note that in some instances the photographs may have been taken using a wide-angle lens. The seller does not make any representation or give any warranty in relation to the property, and we have no authority to do so on behalf of the seller.
Anti Money Laundering Regulations
Intending buyers will be asked to produce identification documentation either as part of the bidder registration process of if they make an acceptable pre-auction offer, we would ask for your co-operation in order that there will be no delay in agreeing the sale.
Control of Asbestos Regulations
As per the Control of Asbestos Regulations 2012, the owner or tenant of the property, or anyone else who has control over it and/or responsibility for maintaining it, must comply with the regulations which may include the detection of and/or management of any asbestos or asbestos related compounds contained at the property. Price Linsey have not tested or inspected for Asbestos and therefore recommend all interested parties to make their own enquiries.
Administration Fee: £1800 inc VAT payable on exchange of contracts.
Buyer's Premium Fee: 1.8% inc VAT of the purchase price, payable on exchange of contracts.
Disbursements: Please see the legal pack for any disbursements listed that may become payable by the purchaser on completion.
Land Adjacent to 28 Castleton Road, Inkersall, Chesterfield S43 3HU
NEAREST STATIONS
Distances are straight line measurements from the centre of the postcode- Chesterfield Station2.0 miles
- Dronfield Station5.4 miles
Notes
Disclaimer - Property reference 202507071347sq_egu2. The information displayed about this property comprises a property advertisement. Rightmove.co.uk makes no warranty as to the accuracy or completeness of the advertisement or any linked or associated information, and Rightmove has no control over the content. This property advertisement does not constitute property particulars. The information is provided and maintained by PriceLinsey, Chesterfield. Please contact the selling agent or developer directly to obtain any information which may be available under the terms of The Energy Performance of Buildings (Certificates and Inspections) (England and Wales) Regulations 2007 or the Home Report if in relation to a residential property in Scotland.
Auction Fees: The purchase of this property may include associated fees not listed here, as it is to be sold via auction. To find out more about the fees associated with this property please call PriceLinsey, Chesterfield on 01246 956436.
*Guide Price: An indication of a seller's minimum expectation at auction and given as a Guide Price or a range of Guide Prices. This is not necessarily the figure a property will sell for and is subject to change prior to the auction.
Reserve Price: Each auction property will be subject to a Reserve Price below which the property cannot be sold at auction. Normally the Reserve Price will be set within the range of Guide Prices or no more than 10% above a single Guide Price.
Map data ©OpenStreetMap contributors.





