High street retail property for sale
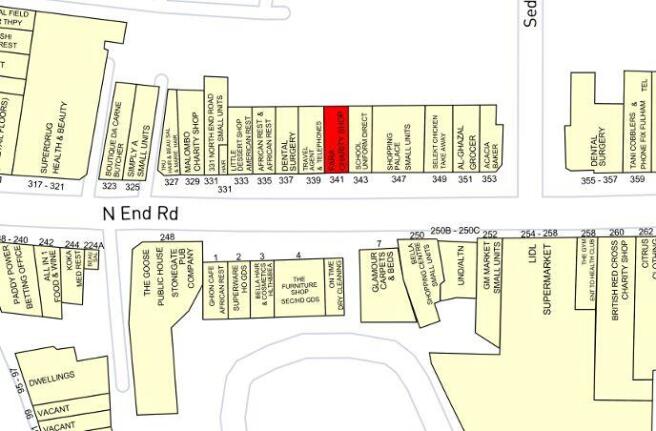
341 North End Road, Fulham, London, SW6 1NN
- SIZE
Ask agent
- SECTOR
High street retail property for sale
Description
**For Sale By Public Auction 11th February 2026 09:30 AM To inspect the legal documents for this property go to our website to download the legal pack**
A Freehold Mixed Use Building Arranged to Provide a Ground Floor Retail Unit Let Producing £33,500 Per Annum and Two Flats on the Upper Floors (Sold off on Long Leases) With a Ground Rent of £200 Per Annum. Offered With Planning Permission for a Rear Extension and the Erection of a One Bedroom House
Tenure
Freehold
Location
The property is prominently situated on a mixed use road close to local shops and amenities. Nearby multiples include Lidl, McDonald's and Poundland. The open spaces of Normand Park are within easy reach. Transport links are provided by Fulham Broadway underground station (District line) and Kensington (Olympia) rail station.
Description
The property comprises a freehold mixed use building arranged to provide a ground floor retail unit and two flats on the upper floors (sold off on long leases).
Exterior
The property benefits from a rear yard.
Planning
Hammersmith & Fulham Borough Council granted the following planning permission (ref: 2022/02655/FUL) on 8th January 2024 : 'Erection of a two storey rear extension at ground and first floor level in connection with the creation of 1 x 1 bedroom single family dwellinghouse; erection of new external staircase to replace the existing staircase from ground floor to first floor level at the rear of the building'. Full plans and structural drawings are available in the legal pack.
EPC Rating
D
Open during their normal business hours
Brochures
341 North End Road, Fulham, London, SW6 1NN
NEAREST STATIONS
Distances are straight line measurements from the centre of the postcode- West Brompton Station0.3 miles
- Fulham Broadway Station0.4 miles
- West Kensington Station0.4 miles
Notes
Disclaimer - Property reference 313691. The information displayed about this property comprises a property advertisement. Rightmove.co.uk makes no warranty as to the accuracy or completeness of the advertisement or any linked or associated information, and Rightmove has no control over the content. This property advertisement does not constitute property particulars. The information is provided and maintained by Auction House London, London. Please contact the selling agent or developer directly to obtain any information which may be available under the terms of The Energy Performance of Buildings (Certificates and Inspections) (England and Wales) Regulations 2007 or the Home Report if in relation to a residential property in Scotland.
Auction Fees: The purchase of this property may include associated fees not listed here, as it is to be sold via auction. To find out more about the fees associated with this property please call Auction House London, London on 020 7870 6217.
*Guide Price: An indication of a seller's minimum expectation at auction and given as a Guide Price or a range of Guide Prices. This is not necessarily the figure a property will sell for and is subject to change prior to the auction.
Reserve Price: Each auction property will be subject to a Reserve Price below which the property cannot be sold at auction. Normally the Reserve Price will be set within the range of Guide Prices or no more than 10% above a single Guide Price.
Map data ©OpenStreetMap contributors.



