Bungalows For Sale in Brecknockshire
Beautifully presented two-bedroom bungalow in a sought-after Tredegar location. Featuring a spacious open-plan lounge/diner with French doors, modern kitchen with utility, contemporary shower room, driveway parking, and private front and rear gardens—ideal for families and downsizers
PRE OWNED Park Home (45'x20') | Residential development | Exclusively for the over 50s | Two bedrooms | Modern home | Private garden | Garage | View of Brecon | Established and popular development | Safe and secure | Community living for like minded people | Pets considered | Part exchange available
PRE OWNED Park Home (40'x20') | Residential development | Exclusively for the over 50s | Two bedrooms | Modern home | Garage | Garden space | Established and popular development | Safe and secure | Community living for like minded people | Pets considered | Part exchange available
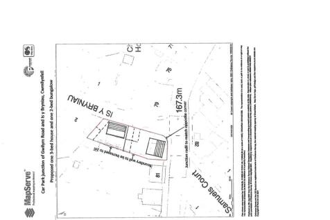
BUILDING PLOT Outline Planning for for the erection of one 3-b3droom House and one 2-bedroom dormer bungalow. Neath Port Talbot county Borough Council application no P2025/0084 Located in the semi rural village of Cwmllynfell at the foot of the black Mountain. Easy access to many countryside...
Recently modernised in places, this one-bedroom detached bungalow offers comfortable single-level living, ideal for those looking to downsize. The property features a modern kitchen, spacious double bedroom, good-sized bathroom, and an enclosed rear garden providing private outdoor space.























