Commercial Properties For Sale in Camberley, Surrey
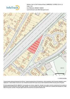
**For Sale By Public Auction 13th November 2025 10:00 AM To inspect the legal documents for this property go to our website to download the legal pack** A Plot of Land Measuring Approximately 1.6 Acres / 6,485 sq m (69,799 sq ft) Freehold Guide Price = £...
The site occupies a level and largely rectangular plot of approximately 0.234 acres (0.095 hectares), fronting Obelisk Way. To the west lies a newly developed mid-rise (four-storey) residential and retail scheme, while The Square shopping centre is situated to the south. The site itself currently...
The site is level and broadly regular in shape, extending to approximately 0.69 acres (0.28 hectares). It currently comprises part of a public pay-and-display surface car park, providing approximately 75 spaces, including two designated disabled bays. Access is available via two entrances: one fr...
Vickery are delighted to market this rare one off opportunity of a Custom Build package from Bespoke developer, Land to Homes. Offering the buyers the chance to have detailed input to create their own dream home. STAMP DUTY SAVING, one of the main benefits of a custom Build Package, is...
Exciting Investment Opportunity: Mixed-Use Property in Prime Camberley Location. This versatile property combines residential and commercial potential in one attractive package. Ground Floor: Fully functional commercial unit Upper Floor: Spacious two bedroom residential flat.

















