Commercial Properties For Sale in Sowerby Bridge, West Yorkshire
Paid partnerships can play a role in listing order
**FULL PP NOW GRANTED FOR 9 LARGE HOMES** The property briefly comprises a substantial parcel of land off Lower Brockwell Lane. In April 2020 a residential application for the outline consent of fifteen dwellings was approved under reference 19/01442/OUT. The scheme provides twelve semi-detache...
The site is broadly rectangular in shape being of level topography and has recently been cleared of all vegetation. Entry to the site is from Gas Works Road/Chapel Lane via secure gated access. The premises are considered suitable for use as a secure compound/yard for storage purposes. There are ...
The property comprises a detached block of 7 one bedroom flats/bedsits over two storeys. Externally, there is parking provision to the side of the property, off Wakefield Road and a small yard area to the front and rear. The property is fully let and currently producing: Flat 1: £475pcm Flat 2...
The property comprises a Grade II Listed former banking hall of traditional ashlar stone construction surmounted by a dual pitched roof, including a clocktower with a dome roof structure. The property occupies a prominent position along Town Hall Street, Sowerby Bridge and offers a blank canvas...
The property briefly comprises a characterful mid-terrace former restaurant premises over four levels, which is prominently located along Wharf Street, Sowerby Bridge. The property is of stone construction surmounted by a dual pitched stone slate roof with dormer attic and adjoining stone built b...
HOT FOOD TAKEAWAY Operates in easy hours in a five day week Retirement sale after over 42 years here Scope to increase trading hours and boost trade Thousands of vehicles passing daily Weekly Turnover £1,800 to £2,000 REF 588778. EPC Band C. Business £14,995 Sowerby Bridge
An excellent opportunity to purchase this plot of building land with full planning permission for six executive detached properties in this highly desirable residential location overlooking the Norland Hillside. The present planning permission is for six detached executive homes over four floors ...
Bridgfords Halifax are delighted to present this rare development opportunity to the market. High levels of interest are anticipated on this very competitively priced opportunity. Based in the highly desirable and convenient town of Sowerby Bridge, West Yorkshire, this parcel of land ...
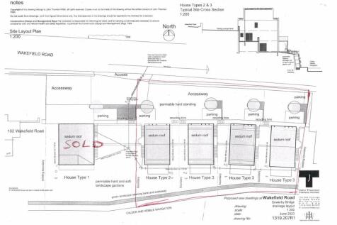
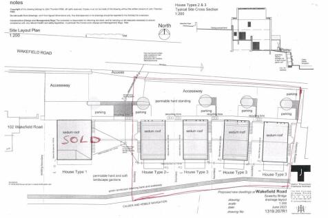
An excellent opportunity to purchase this single building land with full planning permission for an executive detached property in this highly desirable residential location overlooking the Norland Hillside. The present planning permission is for 5 executive detached four bedroomed family homes ...
An excellent opportunity to purchase this single building land with full planning permission for an executive detached property in this highly desirable residential location overlooking the Norland Hillside. The present planning permission is for 5 executive detached four bedroomed family homes ...
An excellent opportunity to purchase this single building land with full planning permission for an executive detached property in this highly desirable residential location overlooking the Norland Hillside. The present planning permission is for 5 executive detached four bedroomed family homes ...
An excellent opportunity to purchase this single building land with full planning permission for an executive detached property in this highly desirable residential location overlooking the Norland Hillside. The present planning permission is for 5 executive detached four bedroomed family homes ...
AVAILABLE TO BUY POST AUCTION *GUIDE PRICE £135,000+ An excellent opportunity to acquire a mixed-use investment property situated just off the high street in the popular market town of Sowerby Bridge. The property comprises a ground floor retail unit togethe...
A good sized paddock measuring around 4 acres of prime grazing land. Located conveniently close to the centre of Sowerby Bridge. The land is securely fenced in for the containment of any livestock that may be placed on the land. The grass is lush and the paddock is relatively flat. The land i...