Land For Sale in Sussex
Mixed-Use Development Land for sale with planning permission to redevelop the existing site, to a mixed-use development comprising 1 ground floor retail unit and 5 residential units above. The site is currently a vacant, single-storey retail unit; located near the busy retail district in Aldwick...
A parcel of land with planning permission for two, three storey semi detached dwellings with off road parking. Occupying an enviable position within walking distance to the beach, hub of St. Leonards On Sea with local artisan shops and restaurants on Kings Road and a mainline railway station ...
OFFERS IN EXCESS OF £290,000 MAIN SPECIFICATIONS: BUILDING PLOT / DEVELOPMENT LAND WITH PLANNING PERMISSION GRANTED FOR A DETACHED ECO STYLED HOLIDAY LETTING PROPERTY TUCKED AWAY IN A QUIET SEMI RURAL LOCATION (PLANNING REFERENCE FOR ROTHER DISTRICT COUNCIL RR/2023/622/P) * THE E...
An exciting development opportunity has arisen to acquire a site enjoying a pleasant semi-rural position of Broad Oak Village with APPROVED PLANNING PERMISSION for a 2088 sqft five bedroom detached house, planning ref RR/2024/625/P. Broad Oak Village offers a convenience store, Bakery, ...
Pinkhurst Stud comprises an appealing equestrian and agricultural smallholding approached by means of a right of way along a shared private drive serving other properties and thence leading to the property's own gated wide entrance with double gates and hardened drive and parking area leading...
DEVELOPMENT OPPORTUNITY A SUBSTANTIAL PLOT WITH AN ADJOINING SECONDARY SMALLER SEPARTATE PLOT AVAILABLE WITH PLANNING PERMISSION FOR A LARGE TWO STOREY DETACHED DWELLING WITH SUBSTANTIAL GARDENS. PLANNING CAN BE VIEWED ON THE LEWES DSTRICT WEBSITE UNDER THE PLANNING APPLICATION...
Situated on the western side of Bedford Row in Worthing, this unique property presents an exciting opportunity for those with a vision for redevelopment. Once a place of worship, the building is in need of full refurbishment, making it a blank canvas for creative minds looking to transform it int...
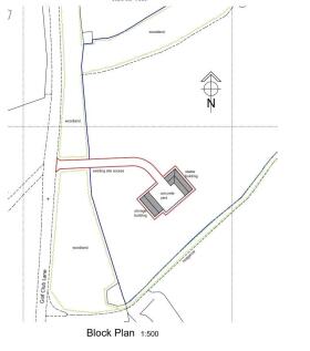
GUIDE PRICE: £250,000 - £350,000 • An amazing opportunity to purchase circa 3.25 acres of land (to be verified) with planning permission granted for stable complex, large concrete hard standing area and further detached triple barn with a total internal floor area of 1...

















