Commercial Properties For Sale in Ynysydarren, Swansea, Swansea (County of)
Paid partnerships can play a role in listing order
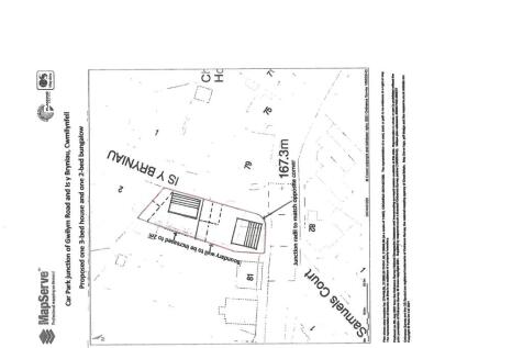
BUILDING PLOT Outline Planning for for the erection of one 3-b3droom House and one 2-bedroom dormer bungalow. Neath Port Talbot county Borough Council application no P2025/0084 Located in the semi rural village of Cwmllynfell at the foot of the black Mountain. Easy access to many countryside...
Swansea. Generated a turnover of £10,780. Offers a bespoke one-to-one training programme for the fitting of vehicle security locks. Accredited by national educational charity NCFE. Presents an excellent investment opportunity due to the inclusion of a large asset register valued at circa &p...
OUTLINE PLANNING PERMISSION HAS BEEN APPROVED. Outline planning has been approved for five residential dwellings planning ref P2023/0536 approved on 10/12/2024 with access off Lewis Avenue or via Is Y Bryniau in the village of Cwmllynfell. An ideal purchase for a ...
Development plot with Planning for 5 Dwellings A Rare opportunity to acquire development site within 0.31 acres with Full Planning consent. The Site Grant of Full Planning Permission by Neath Port Talbot County Borough Council was on 20th October 2023 under reference ...
An exceptional opportunity to acquire a plot with outline planning consent (Planning No: P2024/0528) for a two-storey dwelling in the charming village of Cwmllynfell. Situated on a peaceful no-through road, the plot offers stunning front views of the Brecon Beacons and common land, with picturesq...
BUILDING PLOT Outline Planning for for the erection of one 3-b3droom House and one 2-bedroom dormer bungalow. Neath Port Talbot county Borough Council application no P2025/0084 Located in the semi rural village of Cwmllynfell at the foot of the black Mountain. Easy access to many countryside...
Guide Price £1,000+ (plus fees). For sale via National Online Auction on Monday 5th January 2026, ending 24 hours later. A Freehold Plot of Land Approx 607sqm with Detached Barn. Legal pack available to download free of charge from our website.


