Commercial Properties To Let in Sutton Bonington, Loughborough, Leicestershire
Paid partnerships can play a role in listing order
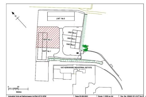
*REDUCED NOVEMBER 2025*Unit 2 is one of a new (2022) development of six industrial units of steel portal frameconstruction with profile clad elevations beneath a pitched profile roofincorporating 10% translucent light panels, powered steel roller shutterloading access door, personnel access door.
Fully refurbished 2025, historic Hathern offices with parking. Ground & first floor space includes kitchen, WCs, 5 enclosed offices/meeting rooms & open plan area. Modern finish in a character building, ideal for professionals.
Office 2H is a newly refurbished, self-contained first-floor office unit situated on the popular Hathernware Industrial Estate. With a total area of approximately 75 sqm, this office has been thoughtfully designed to suit small teams or businesses seeking a clean, professional workspace.