Properties For Sale in Newton On The Hill, Shrewsbury, Shropshire
Occupying a fantastic plot with stunning views over open fields and surrounding countryside, this exceptionally well-presented detached house has been recently refurbished to a high standard throughout, offering thoughtfully designed accommodation, benefitting from beautifully landscaped gardens,...
Introducing Pine Edge at Harmer Hill: A Beautifully Styled and Refurbished Property. Located in the charming area of Harmer Hill this stunning split-level individual property has undergone a meticulous refurbishment, with a sophisticated design and thoughtful interiors. This remarkable property h...
Nestled in the heart of the peaceful village of Harmer Hill, Richmond House offers an exceptional opportunity to acquire a spacious and versatile five-bedroom detached family home set on a generous and private plot. This superb property combines rural charm with modern practicality—perfect for fa...
NO ONWARD CHAIN - Detached five bedroom family home situated in a rural position just north of Shrewsbury. The property benefits from a wonderful rural position sitting on approx. 2/3 acre and offers views across the fields. Buyer and Seller Protection Available.
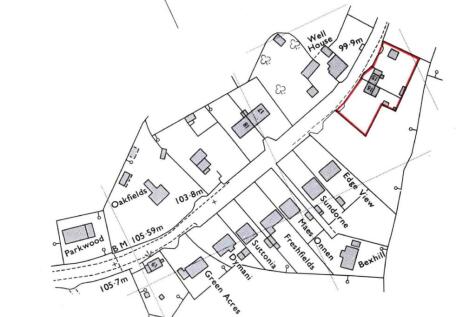
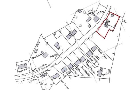
Purplebricks are delighted to offer to the market this charming and beautifully presented, Grade II Listed Detached property. Nestled in the charming village of Myddle, it is a delightful property that perfectly blends traditional charm with modern amenities. It offers a peaceful village lifesty...
Heygate - Plot 13 Move with confidence. Choose with confidence. Buy with confidence with up to £17,250* to spend your way *T&Cs apply While an open-plan kitchen and dining area provides a hub for family mealtimes, the separate living room, study and four bedr...
*NO UPWARD CHAIN* Samuel Wood is delighted to offer for sale this beautifully presented family home on Higher Road in Harmer Hill, Shropshire. The subject of a recent renovation Highview boasts a well designed layout with contemporary high specification interior all complemented by a large drivew...
Horne - Plot 15 Move with confidence. Choose with confidence. Buy with confidence with Part Exchange, where we could be your guaranteed buyer *T&Cs apply* With an open-plan kitchen and dining area and separate living and dining rooms, this four-bedroom home i...
Horne - Plot 8 Move with confidence. Choose with confidence. Buy with confidence with up to £20,000* to spend your way plus over £10,000* in luxury upgrades *T&Cs apply With an open-plan kitchen and dining area and separate living and dining rooms, this ...
***NO UPWARD CHAIN*** Spacious Three Bedroom Detached Property on a Sizeable Plot! DB Roberts are excited to bring to market this spacious three bedroom detached property ideally located in a sought after rural location with an abundance of additional features! Wa...
*** DETACHED BUNGALOW IN ENVIABLE VILLAGE LOCATION *** An excellent opportunity to purchase this attractively presented and improved 2 bedroom Detached Bungalow - perfect for those looking to downsize. Occupying an enviable position in this much sought after North Shropshire vil...
Plot 19 £9,997.00 Stamp Duty Paid *T&Cs apply.* Fabulous brand new detached house in a lovely village setting. The thoughtfully designed accommodation incorporates a superb open plan kitchen/diner built with modern living in mind, combining comfort, pract...
Up to (£19,000.00) to spend your way. The Champman is a 3 bedroomed home with open plan kitchen and dining area, utility store off the kitchen with side door access, separate living room with French doors to garden and en suite to master bedroom. Energy efficient, fitted with solar panels an...
A rare opportunity to purchase an extended three bedroom detached house and adjoining one bedroom annex, set in generous gardens with ample off street parking and outbuildings. Offering well-proportioned accommodation briefly comprising reception porch, sitting room, fitted kitchen, shower room. ...
Benson- Plot 10 Includes £17,000 in luxury upgrades Sheltered from the hustle and bustle, this new neighbourhood has been designed to celebrate the simplicity of modern, rural living. With no through road, you’ll only drive onto Willow Rise if you live here. This...
£11,000 luxury upgrades to spend your way when you reserve your new home With its open-plan kitchen and living area and separate study, this two-bedroom bungalow offers space for work and play. Open-plan kitchen and family area with French doors onto rear garden, Separate utility space, dedicated...
£18,500 to spend your way. Featuring an open-plan kitchen and dining area, plus three bedrooms, the Comber offers a contemporary layout that you can adapt for your lifestyle. Open-plan kitchen and dining area, separate utility space, separate living room with French doors onto rear garden....
Spacious Three-Bedroom Semi-Detached Home in Idyllic Rural Setting Nestled in a tranquil rural location and boasting stunning open views of the surrounding countryside, this delightful three-bedroom home is brimming with potential and ideal for those seeking peace, space, and the oppo...











































































































