Properties For Sale by Tylers Estate Agents, Histon, including sold STC
47 results
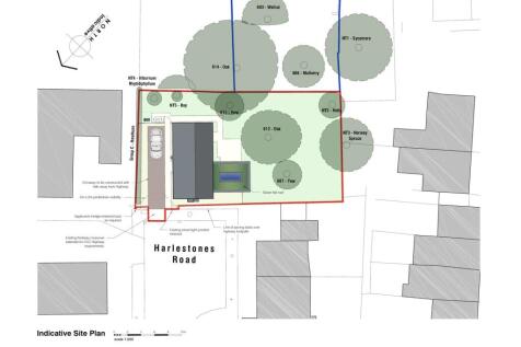
A generous single building plot, currently garden land to the north of 300 High Street, Cottenham, CB24 8TX, accessed via Harlestones Road with outline planning permission for a one and a half storey three bedroom dwelling South Cambs District Council planning reference 24/0302/OUT.
A bespoke eco-friendly timber framed four/five bedroom detached house offering light and generous accommodation set in extensively landscaped and rather special gardens of around 3/4 on an acre overlooking fields in this select village position.
A modern four bedroom detached family home offering well kept accommodation throughout in this popular cul de sac location with a large garden and double garage offering easy access to Cambridge, the Science and Business Park and Cambridge North Station.
An attractive three bedroom semi detached house with a generous garden set back in this sought after position and village requiring updating with vast potential to extend, subject to the necessary permissions - available with no upward sales chain.




























































































































































































































































